Puławy, dnia 30.04.2024 r.
ZN.6845.6.2024.ZP
STAROSTA PUŁAWSKI
działając na podstawie art. 38 ustawy z dnia 21 sierpnia 1997 roku o gospodarce nieruchomościami
(Dz. U. z 2023 r. poz. 344 z późn. zm.), w wykonaniu Zarządzenia Nr 7/2024 Starosty Puławskiego
z dnia 8 stycznia 2024 roku w sprawie sporządzenia i podania do publicznej wiadomości wykazu części nieruchomości, stanowiącej własność Skarbu Państwa, przeznaczonej do oddania w najem
na okres do 3 lat w trybie przetargowym, ogłasza:
I PRZETARG USTNY NIEOGRANICZONY
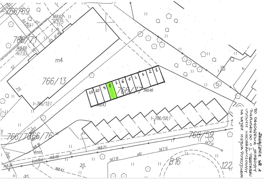
na najem miejsca postojowego, oznaczonego numerem 8, usytuowanego na nieruchomości gruntowej, oznaczonej jako działka nr 766/77 o pow. 0,1000 ha, stanowiącej własność Skarbu Państwa, położonej na terenie gminy Miasto Puławy, obręb Miasto Puławy.
Szczegółowe rozmieszczenie miejsca postojowego stanowi załącznik numer 1 do niniejszego ogłoszenia.
Dla przedmiotowej nieruchomości w Sądzie Rejonowym w Puławach V Wydziale Ksiąg Wieczystych prowadzona jest księga wieczysta nr LU1P/00045346/9.
- DANE DOTYCZĄCE PRZEDMIOTU NAJMU
Miejsce postojowe zlokalizowane jest na nieruchomości gruntowej, oznaczonej numerem ewidencyjnym 766/77 o pow. 0,1000 ha przy ul. Norwida w Puławach. Na podstawie ustaleń miejscowego planu zagospodarowania przestrzennego gminy Miasto Puławy „Kaniowczyków”, zatwierdzonego Uchwałą Nr XXXIII/330/21 Rady Miasta Puławy z dnia
26 sierpnia 2021 roku, ogłoszoną w Dz. Urz. Woj. Lub. poz. 3780 z dnia 10 września 2021 roku stwierdza się, że działka ewidencyjna nr 766/77 przy ul. C.K. Norwida w Puławach, położona jest
w granicach terenu oznaczonego symbolami:
- „5.MW” z przeznaczeniem pod:
- Podstawowe:
- Zabudowa mieszkaniowa wielorodzinna,
- Obiekty do parkowania – dopuszcza się wyłącznie w granicach
wydzieleń wewnętrznych (A), - Uzupełniające:
- Skwery,
- Place zabaw,
- Ciągi piesze,
- Ciągi pieszo – rowerowe,
- Obiekty infrastruktury technicznej,
- „9KDP” z przeznaczeniem terenu pod ciąg pieszy.
- „14 KDW” z przeznaczeniem pod drogę wewnętrzną.
Na obszarze gminy Miasto Puławy nie wyznaczono obszaru rewitalizacji oraz nie ustanowiono Specjalnej Strefy Rewitalizacji, o których mowa w art. 8 ust. 1 i art. 25 ust. 1 ustawy z dnia
9 października 2015 roku o rewitalizacji (tekst jednolity Dz. U. z 2024 r., poz. 278).
- DANE DOTYCZĄCE CENY WYWOŁAWCZEJ, WADIUM
I POSTĄPIENIA - Cena wywoławcza miesięcznego czynszu najmu za miejsce postojowe nr 8 wynosi 60,00 zł netto.
Wylicytowana wysokość miesięcznego czynszu najmu podlegać będzie opodatkowaniu podatkiem VAT, zgodnie z zapisami ustawy z dnia 11 marca 2004 roku o podatku od towarów
i usług (Dz. U. z 2024 r., poz. 361).W przypadku zmiany stawki podatku VAT, zostanie zastosowana stawka obowiązująca w dacie zawarcia umowy.
- Warunkiem dopuszczenia do przetargu jest wpłacenie wadium w wysokości 20,00 zł (słownie: dwadzieścia złotych 00/100) w terminie do dnia 16 maja 2024 roku, na rachunek bankowy Starostwa Powiatowego w Puławach, al. Królewska 19, 24-100 Puławy
nr 88 8741 0004 0007 6858 2000 0060 w Lubelskim Banku Spółdzielczym z siedzibą
w Końskowoli.
W tytule przelewu powinna być zawarta informacja o numerze miejsca postojowego oraz lokalizacji np. „Wadium na miejsce postojowe nr 8 przy ul. Norwida”.
Wpłata wadium na miejsce postojowe upoważnia do wylicytowania wskazanego w tytule przelewu miejsca postojowego.
W przypadku wpłacenia wadium w formie przelewu bankowego, wpłata winna być dokonana odpowiednio wcześniej tak, aby najpóźniej w dniu 16 maja 2024 roku wadium znalazło się na rachunku organizatora przetargu.
Wadium zwraca się niezwłocznie po odwołaniu albo zamknięciu przetargu, jednak nie później niż przed upływem 3 dni od dnia odpowiednio: odwołania, zamknięcia, unieważnienia, zakończenia wynikiem negatywnym przetargu, na podstawie pisemnego wniosku, w którym wskazana będzie forma zwrotu wadium tj. gotówka lub przelew na wskazany numer rachunku bankowego.
Wadium wpłacone przez osobę, która wygra przetarg zaliczone zostanie na poczet wylicytowanej ceny w dniu podpisania umowy najmu. W przypadku uchylenia się od zawarcia umowy, wadium ulegnie przepadkowi na rzecz Wynajmującego.
Wadium wpłacone przez osobę trzecią wniesione na rzecz innej osoby, prócz wpisania numeru miejsca postojowego, winno w tytule wskazywać osobę na rzecz której zostało wniesione.
- Wysokość jednego postąpienia,nie mniej niż 1 % ceny wywoławczej z zaokrągleniem w górę do pełnych złotych, ustalają uczestnicy przetargu.
- W przetargu mogą brać udział osoby fizyczne lub prawne i jednostki organizacyjne
nie posiadające osobowości prawnej uczestniczyć w obrocie towarem. Osoby reprezentujące osoby fizyczne lub prawne powinny posiadać stosowne pełnomocnictwa udzielone na piśmie. Brak pełnomocnictwa eliminuje reprezentanta z udziału w licytacji.
- DANE DOTYCZĄCE TERMINU I MIEJSCA PRZETARGU
- Pierwszy przetarg ustny nieograniczony na najem miejsca postojowego, oznaczonego numerem 8 odbędzie się w dniu 21 maja 2024 roku o godz. 8:40 w siedzibie Starostwa Powiatowego w Puławach przy al. Królewskiej 19 w Puławach w sali nr 102.
- Przetarg prowadzi Komisja Przetargowa powołana Zarządzeniem Starosty Puławskiego.
- W przypadku zaistnienia okoliczności, których nie można było przewidzieć w dniu ogłoszenia przetargów dopuszcza się zmianę miejsca (numeru sali) przeprowadzenia przetargów.
- DANE DOTYCZĄCE PRZETARGU
- Przed przystąpieniem do przetargu Komisji przetargowej należy przedstawić:
- ważny dokument potwierdzający tożsamość,
- pisemne oświadczenie o zapoznaniu się z warunkami przetargu (wzór stanowi zał. nr 2 do ogłoszenia),
- pisemne oświadczenie, dotyczące wyrażenia zgody na przetwarzanie danych osobowych przez Starostwo Powiatowe w Puławach, w związku z postępowaniem przetargowym oraz zawarciem i wykonywaniem umowy na najem miejsca postojowego przy ul. Norwida w Puławach, na podstawie art. 6 ust. 1 pkt e w związku z art. 6 ust. 1 pkt b Rozporządzenia Parlamentu Europejskiego i Rady (UE) w sprawie ochrony osób fizycznych w związku z przetwarzaniem danych osobowych i w sprawie swobodnego przepływu takich danych oraz uchylenia dyrektywy 95/46/WE (RODO) z dnia 27 kwietnia 2016 roku oraz art. 38 wyżej wymienionej ustawy z dnia
21 sierpnia 1997 roku o gospodarce nieruchomościami (wzór klauzuli informacyjnej stanowi zał. nr 3 do ogłoszenia),
Komisja Przetargowa biorąc pod uwagę fakt, że nie każdy uczestnik przetargu może dysponować warunkami technicznymi by stosowne oświadczenia wydrukować samodzielnie, każdorazowo dysponuje gotowymi drukami oświadczeń do podpisania.
ponadto w przypadku:
- podmiotów innych niż osoby fizyczne konieczne jest dodatkowo przedłożenie aktualnego dokumentu (oryginał), z którego wynika upoważnienie do reprezentowania tego podmiotu, w przypadku reprezentowania Oferenta przez pełnomocnika należy dołączyć oryginał pełnomocnictwa;
- małżonków do dokonywania czynności przetargowych konieczna jest obecność obojga małżonków lub jednego z nich ze stosownym pełnomocnictwem drugiego małżonka, zawierającym zgodę na uczestnictwo w przetargu i zawarcie umowy najmu.
- Komisja przetargowa weźmie pod uwagę ofertę z najwyższą zaoferowaną cenę. Po trzecim wywołaniu najwyższej zaoferowanej ceny dalsze postąpienia nie zostaną przyjęte.
- Protokół z przetargu stanowić będzie podstawę do zawarcia umowy najmu.
- INNE ISTOTNE POSTANOWIENIA
- Starosta Puławski może odwołać przetargi jedynie z ważnych powodów, niezwłocznie podając informację do publicznej wiadomości.
- Przetarg zostanie przeprowadzony zgodnie z przepisami ustawy z dnia 21 sierpnia 1997 roku
o gospodarce nieruchomościami (Dz. U. z 2023 r. poz. 344 z późn.zm). - Najemca będzie opłacał miesięczny czynsz najmu w wysokości ustalonej w wyniku przetargu powiększony o obowiązująca stawkę VAT w terminie do 20 dnia każdego miesiąca.
Zasady aktualizacji opłat – stawki czynszu podlegają bieżącej waloryzacji z dniem 1 kwietnia każdego roku kalendarzowego według wskaźnika cen towarów i usług konsumpcyjnych
za poprzedni rok, ogłoszonego przez Prezesa Głównego Urzędu Statystycznego w Dzienniku Urzędowym RP „Monitor Polski”. W przypadku kiedy z ogłoszenia Prezesa Głównego Urzędu Statystycznego będzie wynikała deflacja, wysokość czynszu nie będzie zmieniana o jej wysokość. - Najemca zobowiązany będzie utrzymać czystość i porządek najmowanego miejsca postojowego oraz najbliższego otoczenia.
- Wynajmujący zastrzega, że w umowie, które zostanie zawarta z wyłonionym w postępowaniu przetargowym podmiotem znajdą się postanowienia uprawniające Wynajmującego
do rozwiązania umowy najmu bez zachowania okresu wypowiedzenia w przypadku zmiany sposobu wykorzystywania nieruchomości, wykorzystywania jej w sposób niezgodny
z przeznaczeniem albo w sposób uciążliwy dla pozostałych Najemców, okolicznych mieszkańców, bądź środowiska.
Szczegółowych informacji dotyczących przetargów udziela Wydział Zarządzania Nieruchomościami Starostwa Powiatowego w Puławach, al. Królewska 19, pok. 103, tel. (81) 886-11-62.
Treść ogłoszenia znajduje się na stronie www.pulawy.powiat.pl, oraz w Biuletynie Informacji Publicznej Starostwa Powiatowego w Puławach.
STAROSTA
Danuta Smaga

Załącznik nr 2
do ogłoszenia Starosty Puławskiego
o I przetargu ustnym nieograniczonym
na najem miejsca postojowego
Puławy, dnia ……………………….
…………………………………………
…………………………………………
…………………………………………
…………………………………………
OŚWIADCZENIE
Ja, niżej podpisany/-a oświadczam, że zapoznałem/-am się z pełną wersja ogłoszenia
o I przetargu ustnym nieograniczonym na najem miejsca postojowego, oznaczonego numerem 8, usytuowanego na nieruchomości gruntowej, oznaczonej jako działka nr 766/77 o pow. 0,1000 ha, stanowiącej własność Skarbu Państwa, położonej na terenie gminy Miasto Puławy, obręb
Miasto Puławy.
Stan faktyczny i prawny przedmiotu przetargu jest mi znany i nie wnoszę żadnych zastrzeżeń tytułem ewentualnych wad ukrytych przedmiotu przetargu.
………………………………………………….
Załącznik nr 3
do ogłoszenia Starosty Puławskiego
o I przetargu ustnym nieograniczonym
na najem miejsca postojowego
KLAUZULA INFORMACYJNA
Zgodnie z art. 13 ust. 1 i ust. 2 Rozporządzenia Parlamentu Europejskiego i Rady (UE) w sprawie ochrony osób fizycznych w związku z przetwarzaniem danych osobowych i w sprawie swobodnego przepływu takich danych oraz uchylenia dyrektywy 95/46/WE (ogólne rozporządzenie o ochronie danych) z dnia 27 kwietnia 2016 r. informuję, iż:
- Administratorem Pani/Pana danych osobowych jest Starosta Puławski z siedzibą Al. Królewska 19, 24 -100 Puławy. Można się z nami kontaktować:
– listownie pod wskazany powyżej adres,
– mailowo na adres: rodo@pulawy.powiat.pl
– telefonicznie: 81-886-11-00. - Inspektorem Ochrony Danych Osobowych w Starostwie Powiatowym w Puławach jest Pani Jolanta Rafałko.
- Pani/Pana dane osobowe przetwarzane będą w celu realizacji zadań związanych z postępowaniem przetargowym oraz zawarciem i wykonaniem umowy na najem miejsca postojowego przy ul. Norwida w Puławach na podstawie art. 6 ust 1
pkt e w związku z art. 6 ust. 1 pkt b wyżej wymienionego rozporządzenia oraz art. 38 ustawy z dnia 21 sierpnia 1997 roku
o gospodarce nieruchomościami (Dz. U. z 2023 r. poz. 344 z późn. zm.). - W celach realizacji czynności o których mowa w pkt 3, potrzebujemy Pani/Pana następujących danych:
- imię i nazwisko,
- adres zamieszkania,
- nr PESEL,
- nr dowodu osobistego,
- numer telefonu,
- inne dane (wynikające z przepisów ustawy).
- Odbiorcami Pani/Pana danych osobowych mogą być: uprawnione organy publiczne, podmioty wykonujące zadania publiczne lub działające na zlecenie organów władzy publicznej w zakresie i celach, które wynikają z przepisów powszechnie obowiązującego prawa oraz inne podmioty, które na podstawie stosownych umów przetwarzają dane osobowe dla których Administratorem danych jest Starosta Puławski.
- Pani/Pana dane osobowe nie będą przekazywane do państwa trzeciego/organizacji międzynarodowej.
- Pani/Pana dane osobowe będą przechowywane przez okres archiwizacji akt zgodnie z kategorią archiwalną, niezbędny do zakończenia czynności związanych z realizacją Pani/Pana wniosku, umowy lub do dnia wypełnienia wzajemnych zobowiązań, nie krócej jednak niż przez okres wskazany w ustawie z dnia 14 lipca 1982 roku o narodowym zasobie archiwalnym i archiwach (Dz. U. z 2020 r., poz. 164 z późn. zm.).
- Posiada Pani/Pan prawo dostępu do:
- treści swoich danych na podstawie art. 15 RODO,
- prawo ich sprostowania na podstawie art. 16 RODO,
- usunięcia danych (prawo do bycia zapomnianym”) na podstawie art. 17 RODO,
- ograniczenia przetwarzania danych na podstawie art. 18 RODO,
- prawo do przenoszenia danych na podstawie art. 20 RODO,
- prawo wniesienia sprzeciwu wobec przetwarzania danych na podstawie art. 21 RODO,
- prawo do wycofania zgody w dowolnym momencie bez wpływu na zgodność z prawem przetwarzania na podstawie
art. 7 ust 3 (*jeżeli przetwarzanie odbywa się na podstawie zgody), którego dokonano na podstawie zgody przed jej wycofaniem.
- Przysługuje Pan/Pani prawo wniesienia skargi do Prezesa Urzędu Ochrony Danych Osobowych (PUODO), gdy uzna Pani/Pan, iż przetwarzanie danych osobowych Pani/Pana dotyczących, narusza przepisy ogólnego rozporządzenia
o ochronie danych osobowych z dnia 27 kwietnia 2016 r. - Podanie przez Pana/Panią danych osobowych jest wymogiem ustawowym. Jest Pan/Pani zobowiązana do ich podania,
a konsekwencją niepodania danych osobowych będzie brak możliwości prawnych zrealizowania Pani/Pana wniosku
w sprawie o której mowa w pkt. 3. - Pani/Pana dane nie będą/będą przetwarzane w sposób zautomatyzowany, w tym również w formie profilowania.
………………………………………………………………………………………..
(miejscowość, data, imię i nazwisko)
