BURMISTRZ MIEROSZOWA
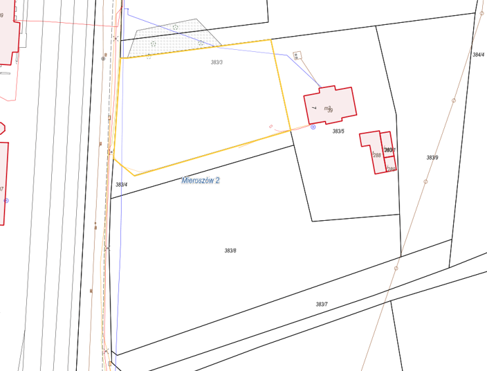
ogłasza V przetarg ustny nieograniczony na sprzedaż nieruchomości gruntowej niezabudowanej położonej w obrębie Mieroszów 2, składającej się z działki nr 383/3 o powierzchni 0,2110 ha.
Opis nieruchomości:
Nieruchomość gruntowa niezabudowana o powierzchni 0,2110 ha, położona przy ul. Tkackiej w obrębie Mieroszów 2. Działka nr 383/3 jest niezabudowana i stanowi od kilku lat nieużytkowany teren porośnięty trawami i chwastami oraz licznymi drzewami ozdobnymi (głównie iglakami). Działka ma kształt zbliżony do prostokąta i zachowaną proporcję długości boków, teren wypłaszczony. Wzdłuż zachodniej granicy działki przebiega sieć wodociągowa wD110 a w północnym rogu działki sieć wodociągowa wD15. Nieruchomość położona w bezpośrednim sąsiedztwie terenów uzbrojonych (bez sieci gazowej), aktualnie działka nie jest uzbrojona. Nieruchomość zlokalizowana jest przy bocznej ulicy Tkackiej, w odległości około 300 m od głównej ulicy Wałbrzyskiej. Dojazd do nieruchomości wąską i zniszczoną ulicą Tkacką o nawierzchni brukowej.
Zgodnie z miejscowym planem zagospodarowania przestrzennego miasta i gminy Mieroszów teren obejmujący nieruchomość oznaczony jest symbolem UP, KS – tereny przeznaczone dla lokalizacji obiektów służących prowadzeniu działalności gospodarczej: usługowej, w tym także stacje paliw, z wyjątkiem obiektów chronionych, usługowo – produkcyjnej, naprawczej a także magazynowej (w tym hurtownie i składy), wytwórczej i przetwórczej (przemysł i rzemiosło produkcyjne).
Użytek gruntowy: Bp – 0,2110 ha.
Nieruchomość ma założoną księgę wieczystą KW NR SW1W/00042435/3.
Nieruchomość jest wolna od roszczeń i praw osób trzecich.
I przetarg przeprowadzono w dniu 26 października 2023 r., II przetarg przeprowadzono w dniu 22 stycznia 2024 r, III przetarg przeprowadzono w dniu 14 marca 2024 r., IV przetarg przeprowadzono w dniu 14 maja 2024 r
Informacje o przetargu:
- Cena wywoławcza 75.000 zł
- Do wylicytowanej kwoty zostanie doliczony należny podatek VAT w wysokości 23 %
- Wadium w wysokości 7.500 zł
- Postąpienie stanowi nie mniej niż 1% ceny wywoławczej z zaokrągleniem w górę do pełnych dziesiątek złotych
Przetarg odbędzie się w dniu 16 lipca 2024 r. o godzinie 10:30 w budynku Urzędu Miejskiego w Mieroszowie – sala nr 16, I piętro, wejście po prawej stronie budynku.
Warunkiem udziału w przetargu jest:
1. Wniesienie kwoty wadium na konto: Gmina Mieroszów – Bank Spółdzielczy w Kamiennej Górze nr 07 8395 0001 0021 8115 2000 0008 do dnia 09 lipca 2024 r.
Za dzień wpłaty wadium uważa się dzień wpływu środków pieniężnych na rachunek organizatora przetargu.
2. Przedłożenie komisji przetargowej przez uczestnika przetargu, przed otwarciem przetargu:
- dowodu wniesienia wadium;
- dowodu tożsamości;
- stosownego pełnomocnictwa udzielonego przez osobę, którą reprezentuje;
- zgody współmałżonka na uczestnictwo w przetargu, w przypadku przystąpienia do przetargu jednego współmałżonka;
- osoby fizyczne prowadzące działalność gospodarczą numer NIP, a podmioty inne niż osoby fizyczne dodatkowo wyciąg z właściwego rejestru wydany w ciągu ostatnich trzech miesięcy oraz właściwe pełnomocnictwa osób reprezentujących podmiot.
Informacje dodatkowe:
- Wzywa się zainteresowanych kupnem do zapoznania się ze stanem nieruchomości poprzez dokonanie oględzin, a także do zapoznania się z ustaleniami i ograniczeniami wynikającymi z miejscowego planu zagospodarowania przestrzennego. Przyjmuje się, że stawiający do przetargu akceptują aktualny stan nieruchomości bez zastrzeżeń.
- Koszty związane z nabyciem nieruchomości (opłata notarialna i sądowa za przeniesienie prawa własności) ponosi Kupujący.
- Jeżeli osoba ustalona jako nabywca nieruchomości, nie przystąpi bez usprawiedliwienia do zawarcia umowy w miejscu i terminie podanych w zawiadomieniu, organizator przetargu może odstąpić od zawarcia umowy, a wpłacone wadium nie podlega zwrotowi.
- Wadium wniesione przez uczestnika przetargu, który przetarg wygrał, zalicza się na poczet ceny nabycia nieruchomości.
- Pozostałym uczestnikom przetargu wadium zostanie zwrócone niezwłocznie, jednak nie później niż przed upływem 3 dni od dnia odwołania, zamknięcia, unieważnienia lub zakończenia przetargu wynikiem negatywnym.
- Okazanie granic nieruchomości może nastąpić na koszt nabywcy.
Burmistrz Mieroszowa zastrzega sobie prawo odwołania przetargu z ważnych powodów.
Informacje o nieruchomości można uzyskać w Referacie Nieruchomości pok. 15, Urzędu Miejskiego w Mieroszowie Pl. Niepodległości 1, 58-350 Mieroszów, tel.74 30 30 030.


Burmistrz Mieroszowa
Andrzej Lipiński
