BURMISTRZ MIEROSZOWA Mieroszów, 21.04.2026 r.
Plac Niepodległości 1
58-350 MIEROSZÓW
BURMISTRZ MIEROSZOWA
58-350 Mieroszów, Plac Niepodległości 1
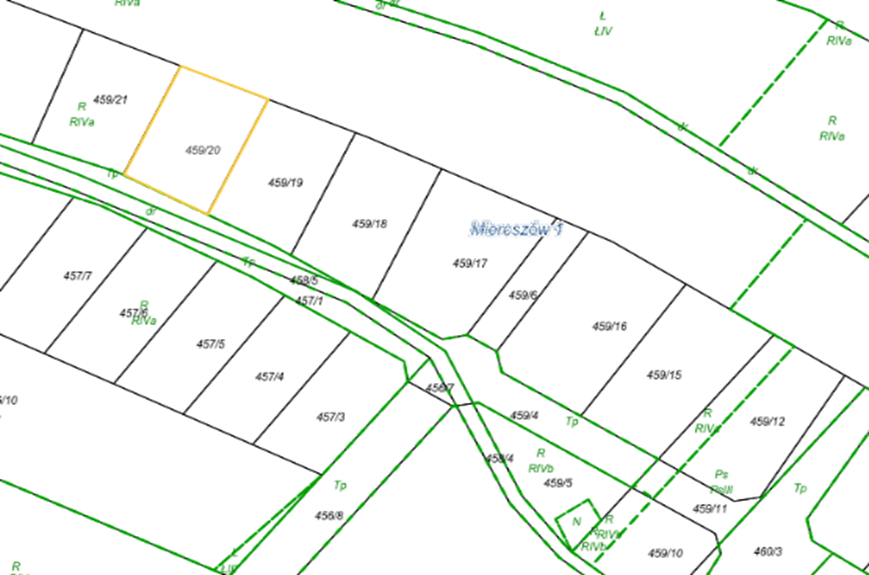
ogłasza IV przetarg ustny nieograniczony na sprzedaż nieruchomości gruntowej bez zabudowań, położonej w obrębie Mieroszów 1 działka nr 459/20 o powierzchni 0,1099 ha.
Nieruchomość gruntowa o powierzchni 0,1099 ha w całości o użytku RIVa, położona w obrębie Mieroszów 1. Działka nr 459/20 jest niezabudowana i aktualnie stanowi teren porośnięty trawami. Działka gruntowa o kształcie zbliżonym do prostokąta z zachowaną proporcją długości boków, teren wypłaszczony o łagodnym nachyleniu. Nieruchomość położona w bliskiej odległości od terenów uzbrojonych (sieć energetyczna i wodno – kanalizacyjna). Aktualnie działka nie jest uzbrojona.
Działka posiada dostęp do drogi publicznej z ulicy Wysokiej poprzez jeszcze nieurządzone działki częściowo o nawierzchni szutrowej i częściowo porośnięte trawami (drogi wewnętrzne).
Zgodnie z miejscowym planem zagospodarowania przestrzennego miasta i gminy Mieroszów teren obejmujący nieruchomość znajduje się w jednostce terenowej oznaczonej na rysunku planu symbolem MN – tereny przeznaczone dla zabudowy jednorodzinnej.
Nieruchomość ma założoną księgę wieczystą KW NR SW1W/00003113/5.
Nieruchomość jest wolna od roszczeń i praw osób trzecich.
I przetarg przeprowadzono 20.01.2026 r., II przetarg przeprowadzono 03.03.2026 r., III przetarg przeprowadzono 14.04.2026 r.
Informacje o przetargu:
- Cena wywoławcza 75.700 zł
- Do wylicytowanej ceny zostanie doliczony należny podatek VAT w wysokości 23%
- Wadium w wysokości 7.570 zł

Postąpienie stanowi nie mniej niż 1% ceny wywoławczej z zaokrągleniem w górę do pełnych dziesiątek złotych.
Warunkiem udziału w przetargu jest:
1. Wniesienie kwoty wadium na konto: Gmina Mieroszów – Bank Spółdzielczy w Kamiennej Górze nr 07 8395 0001 0021 8115 2000 0008 do dnia 19 maja 2026 r.
Za dzień wpłaty wadium uważa się dzień wpływu środków pieniężnych na rachunek organizatora przetargu.
2. Przedłożenie komisji przetargowej przez uczestnika przetargu, przed otwarciem przetargu:
- dowodu wniesienia wadium;
- dowodu tożsamości;
- stosownego pełnomocnictwa udzielonego przez osobę, którą reprezentuje;
- zgody współmałżonka na uczestnictwo w przetargu, w przypadku przystąpienia do przetargu jednego współmałżonka;
- osoby fizyczne prowadzące działalność gospodarczą numer NIP, a podmioty inne niż osoby fizyczne dodatkowo wyciąg z właściwego rejestru wydany w ciągu ostatnich trzech miesięcy oraz właściwe pełnomocnictwa osób reprezentujących podmiot.
Informacje dodatkowe:
- Wzywa się zainteresowanych kupnem do zapoznania się ze stanem nieruchomości poprzez dokonanie oględzin, a także do zapoznania się z ustaleniami i ograniczeniami wynikającymi z miejscowego planu zagospodarowania przestrzennego. Przyjmuje się, że stawiający do przetargu akceptują aktualny stan nieruchomości bez zastrzeżeń.
- Koszty związane z nabyciem nieruchomości (opłata notarialna i sądowa za przeniesienie prawa własności) ponosi Kupujący.
- Jeżeli osoba ustalona jako nabywca nieruchomości, nie przystąpi bez usprawiedliwienia do zawarcia umowy w miejscu i terminie podanych w zawiadomieniu, organizator przetargu może odstąpić od zawarcia umowy, a wpłacone wadium nie podlega zwrotowi.
- Wadium wniesione przez uczestnika przetargu, który przetarg wygrał, zalicza się na poczet ceny nabycia nieruchomości.
- Pozostałym uczestnikom przetargu wadium zostanie zwrócone niezwłocznie, jednak nie później niż przed upływem 3 dni od dnia odwołania, zamknięcia, unieważnienia lub zakończenia przetargu wynikiem negatywnym.
- Okazanie granic nieruchomości może nastąpić na koszt nabywcy.
Burmistrz Mieroszowa zastrzega sobie prawo odwołania przetargu z ważnych powodów.
Informacje o nieruchomości można uzyskać w Referacie Nieruchomości pok. 15, Urzędu Miejskiego w Mieroszowie Pl. Niepodległości 1, 58-350 Mieroszów, tel.74 30 30 030.
Burmistrz Mieroszowa
Andrzej Lipiński
